Rose of Sharon – Seed Bugs
Q: I found these on our Rose of Sharon. Am kinda sure they are not aphids, yet they do not seem to have a ladybug shape. Could you advise as to what they are?
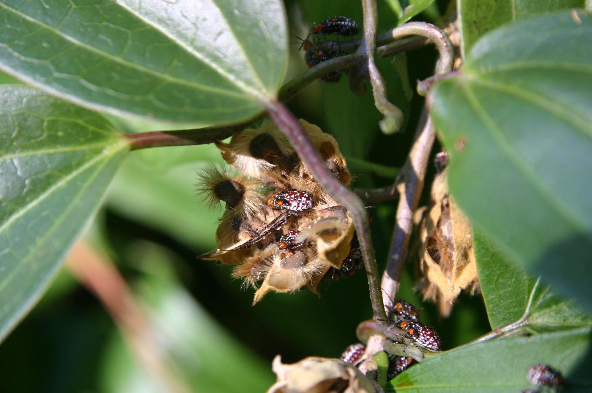
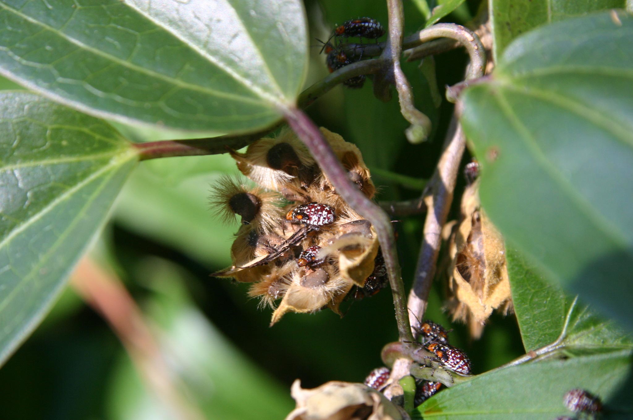
A: They’re seed bugs, Niesthrea louisianica. They feed on the numerous seeds that Rose of Sharon produces. I’m thankful for this since my plant would have even more weedy seedlings if something didn’t eat a few of them.
The insects don’t seem to hurt the plant in any way.
They are not reputed to hurt the plant in general but, if you don’t care for them, I would dust the buds with carbaryl (Sevin) (click for sources) .

seed bugs on Rose of Sharon

seed bugs on Rose of Sharon

seed bugs on Rose of Sharon seed