Name that plant
Details:
-
Date Photo Taken
06 / 18 / 2013
-
Season Photo Was Taken
Summer
-
Region Photo Was Taken
Southeast
-
City
Dallas
-
State
Georgia
-
Posted by
Screamin Scott
Notes:
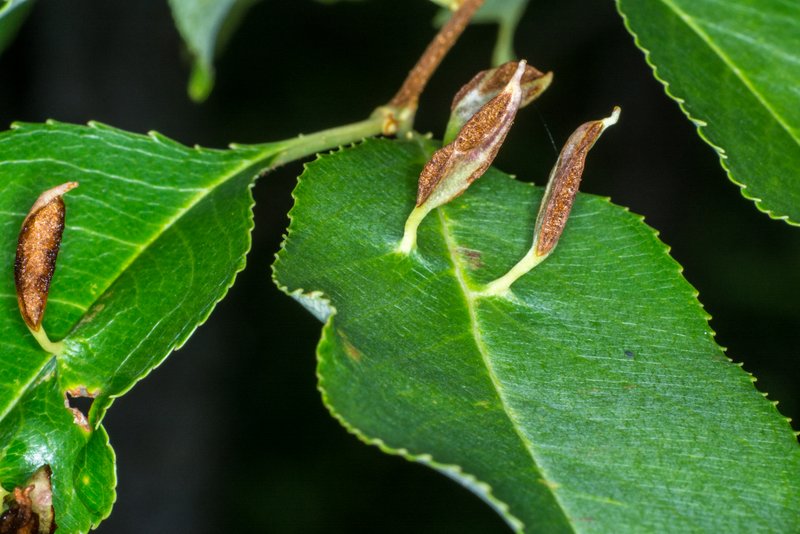
Found these on what I believe to be a Spicebush tree out behind my fence…re they some sort of fungus or an insect stage?
Comments
Bobby Master Identifier says:
So now we know!I thought the connecting points looked like gall as well. Nevertheless Screamin Scott, you serve an excellent crow with just the right touch of garlic!
June 20th, 2013 at 7:24pm
Screamin Scott Apprentice says:
Thanks, but I think I narrowed it down to leaf Galls, specifically the Eriophyes tiliae mite…
June 20th, 2013 at 2:39pm
Bobby Master Identifier says:
Oh, the aforementioned chrysalis on leaf shot https://sphotos-a.xx.fbcdn.net/hphotos-frc1/p480x480/62649_455315384563061_1220794722_n.jpg How ’bout just a touch of garlic Stone!
June 20th, 2013 at 1:15pm
Bobby Master Identifier says:
Here we go. Climbing way out on a limb to guess this may be a butterfly chrysalis. I thought a natural would be the swallowtail chrysalis but, all photos I found of them had them attached to stems not leaves. Ok Stone you can jump in with a crow dinner anytime now. Anyway I did find a shot with a chrysalis attached to a leaf and there is some resemblance. Any flutterby experts out there?
June 20th, 2013 at 1:07pm